Los animalistas alertan de la gran mortandad de gatos en Huércal de Almería

PROVINCIA | Huércal de Almería

La Federación Animalista de Almería pide al Ayuntamiento que le ponga remedio a la situación

Muchos gatos han aparecido con disparos
Muchos gatos han aparecido con disparos / ANIMALI

10 de octubre 2020 - 16:02

La Federación Animalista de Almería ha alertado de la situación que se vive en las calles de Huércal de Almería, donde están apareciendo todos los días gatos muertos, lo que está provocando una gran indignación dentro y fuera de la ciudad.

Los animalistas atendieron a la preocupación de algunas personas, ciudadanas de esta ciudad, que a título personal están tratando de ayudar a los gatos ferales, motivando que se tuviera una reunión con responsables del equipo de gobierno del ayuntamiento, que en principio acogieron favorablemente la puesta en marcha del método CER (Captura-Esterilización-Retorno) en el municipio.

De acuerdo a la normativa son los ayuntamientos responsables de atender la gestión de estos animales, pero son pocos los que lo hacen, de modo que estos animales son atendidos por personas y asociaciones las que suplen esta carencia. Carencia que se ve aprovechada por personas que están cometiendo distintos tipos de delitos, con total impunidad, no solo dando muerte a animales, sino además poniendo en peligro la salud de la ciudadanía, con diferentes tipos de hechos despreciables como éstos:

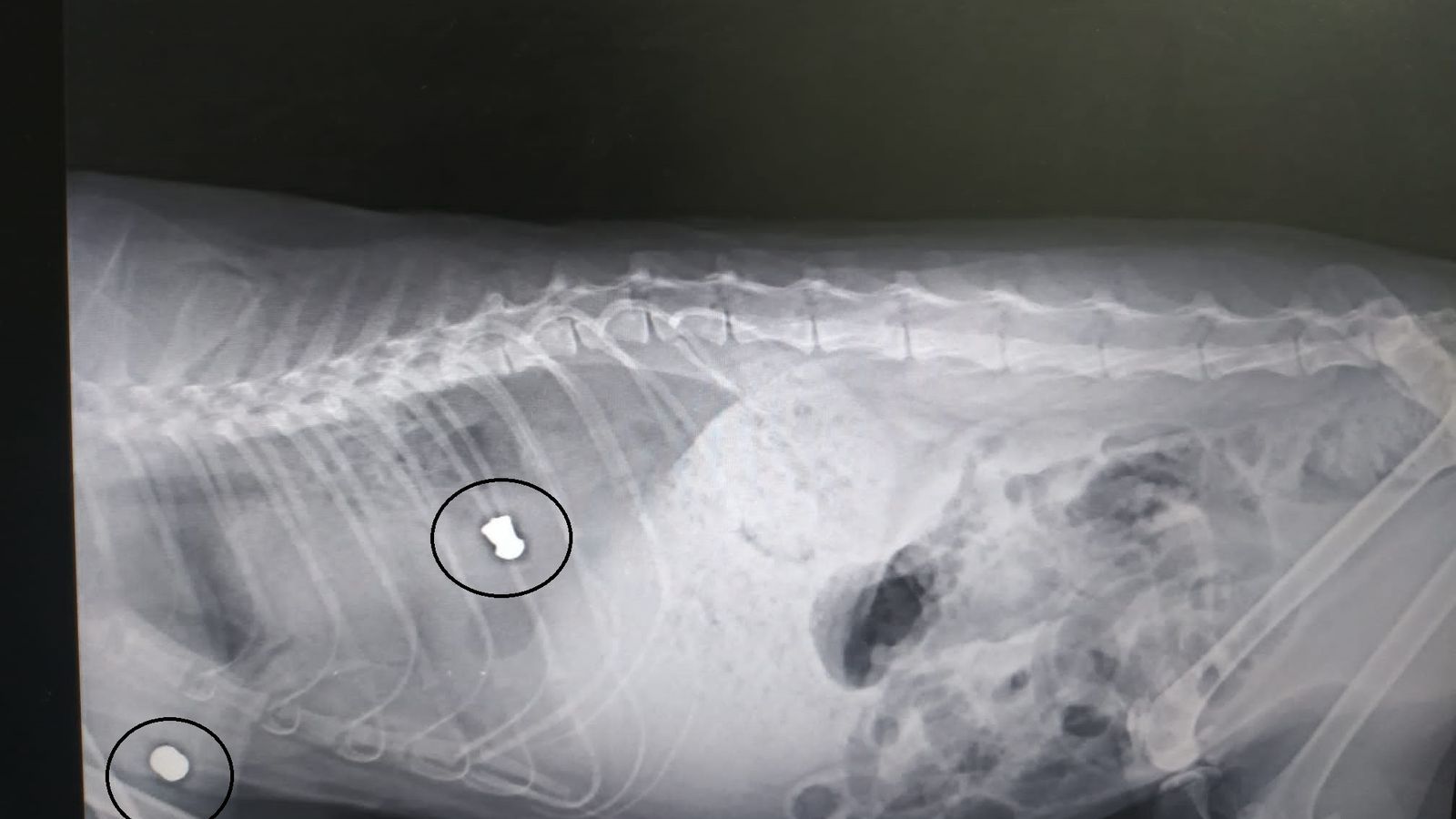
-Disparan a los gatos causándoles una dolorosa muerte. Las radiografías demuestran los órganos afectados, como ha sido casos en la columna vertebral o en el tórax.

-Ponen veneno en la calle, envenenando a los gatos. En ocasiones cuando han causado la muerte de los gatos que han sido su objetivo retiran el veneno para que no sea detectado.

-Con jaulas trampa están capturando gatos, secuestrándolos, desconociendo lo que ha sucedido con ellos.

Ya se ha puesto denuncia ante la Guardia Civil y se ha puesto en conocimiento de la Policía Local, que han iniciado acciones para esclarecer los hechos y localizar a los delincuentes. Pero no es suficiente, es urgente y necesario que sea el propio ayuntamiento quien denuncie lo que está ocurriendo, pues además de los gatos muertos y heridos, las personas de esas calles corren peligro, tanto de que el veneno llegue a niños, que son un sector muy desprotegido en estos casos, o que reciban un disparo cualquier ciudadano.

Radiografía en la que se aprecian dos balazos en el cuerpo de un gato
Radiografía en la que se aprecian dos balazos en el cuerpo de un gato

Desde la Federación Animalista de Almería piden al ayuntamiento de Huércal de Almería que mueva los recursos de los que dispone para afrontar esta trágica situación, para que se resuelva lo antes posible, dando con los autores de estos delitos.

"Una sociedad no puede evolucionar despreciando la vida de los animales, la violencia y el maltrato animal es el refugio de la violencia y el maltrato contra las personas, no puede quedar impune. Son multitud los estudios sobre esta relación", explican en una nota los animalistas. "Queremos ciudades en la que sea la buena convivencia y el respeto a la vida de todos los seres vivos los que marquen el bienestar de nuestros hijos y la nuestra", concluyen.

La Federación Animalista de Almería ANIMALI, junto con las personas que se están viendo afectadas por esta situación, trabajan coordinadas para avanzar en las soluciones.

stats